Zemes gabals Trīsciemā - savrupmāju apbūves teritorija (DzS1). Atļautie izmantošanas veidi: 33 115 EUR
Filtrs
Meklēt visās valstīs
Atrašanās vieta
Meklēt visās valstīs
  • Latvija
  • Igaunija
Latvija
Meklēt pēc valsts
Meklēt pēc valsts
  • Rīga
  • Jūrmala
  • Rīgas rajons
  • Aizkraukle un novads
  • Alūksne un novads
  • Balvi un novads
  • Bauska un novads
  • Valka un novads
  • Valmiera un novads
  • Varakļāni un novads
  • Ventspils un novads
  • Grobiņa un novads
  • Gulbene un novads
  • Daugavpils un novads
  • Dobele un novads
  • Jēkabpils un novads
  • Jelgava un novads
  • Krāslava un novads
  • Kuldīga un novads
  • Liepāja
  • Līvāni un novads
  • Limbaži un novads
  • Ludza un novads
  • Madona un novads
  • Ogre un novads
  • Preiļi un novads
  • Rēzekne un novads
  • Saldus un novads
  • Smiltene un novads
  • Talsi un novads
  • Tukums un novads
  • Cēsis un novads
  • Ārpus Latvijas
  • Cits

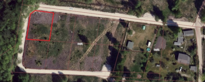
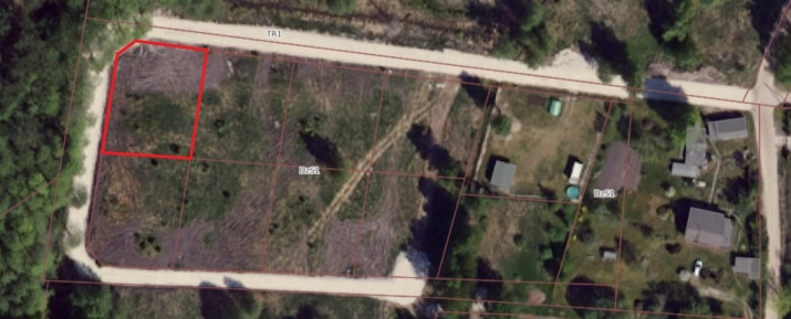
Zemes gabals Trīsciemā - savrupmāju apbūves teritorija (DzS1). Atļautie izmantošanas veidi:

Nr.134382
Izveidots: 16 oktobris 2025
Adrese: Trīsciema 2.līnija, rajons Trīsciems, Rīga, Latvija
url: https://www.rentinriga.lv/lv/zeme/pardosana/65667 
Platība: 895 m2
Zemes gabals Trīsciemā - savrupmāju apbūves teritorija (DzS1). Atļautie izmantošanas veidi: Daudzdzīvokļu māju, rindu un savrupmāju apbūve Apbūves noteikumi: - Maksimālais apbūves blīvums 30%; - Maksimālais apbūves augstums līdz 3 stāviem. Ērta piekļuve visiem zemes gabaliem nodrošināts kopīgs, izbūvēts piebraucamais ceļš. Elektrība pievadīta katram zemes gabalam. Ūdens un kanalizācija vietējā. Rīgas centrs sasniedzams aptuveni 20 minūšu laikā, savukārt ikdienā nepieciešamās iestādes un iepirkšanās vietas atrodas vien 7 minūšu brauciena attālumā Vecmīlgrāvja un Jaunciema apkaimē. Interesē? Zvani vai raksti, lai vienotos par apskati!
Nr.134382
Izveidots: 16 oktobris 2025
Reģistrējieties vai autorizējieties, lai komentētu.
33 115 EUR
Rakstīt Kontakti